1 / 3
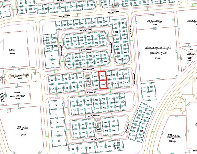
للبيع ارضين بجانب بعض في السلام ق1
كود : 6544
التفاصيل
للبيع ارضين بجانب بعض في السلام ق1 , مساحه كل قسيمه 500 متر , شارع واحد , واجهه 20 متر , قريبه من الخدمات , مدخل ومخرج سهل
معلومات العقار
المساحة
500 م²
الحالة
متاح