📱 تطبيق دروازة الصفاة العقارية

تصفح العقارات وتواصل مع المسوقين بسهولة من هاتفك

صورة منصور

منصور

50342220

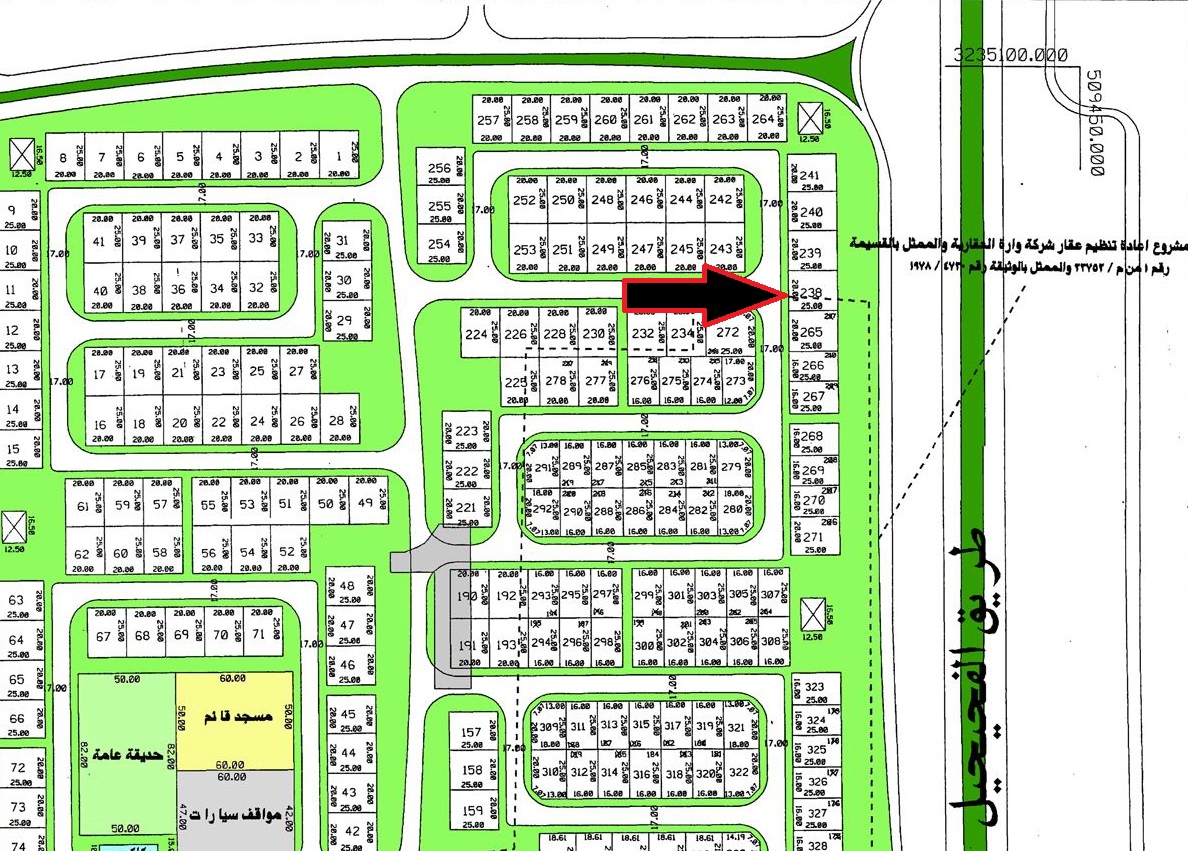
للبيع ارض مميزه في الفنيطيس ق1 " المميزه "

كود : 5613

التفاصيل

للبيع ارض في الفنيطيس ق1 " المميزه المساحه ٥٠٠ م2 .. الموقع بطن وظهر علي شارع رئيسي " الفحيحيل .. ,ومن الداخل مقابل شارع مفتوح .. مدخل ومخرج سهل جدا من صوب المسايل .. قريبه من الخدمات .. مراجعه 465الف

معلومات العقار

السعر
465000 د.ك
المساحة
500 م²
الحالة
متاح