

1 / 3
للبيع ارض مميزه في الفنيطيس ق١
التفاصيل
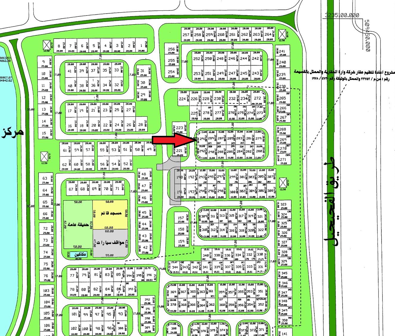
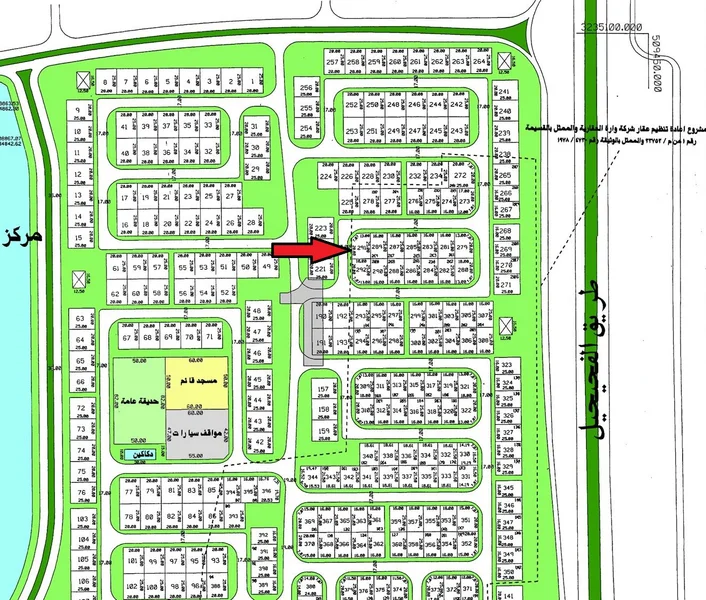
للبيـــع ارض في الفنيطيس قطعه 1 المميزه , مساحة 437م , زاويه شارعين , مدخل سهل جدا , وثيقه حره , مراجعه 450 الف
معلومات العقار
السعر
450000 د.ك
المساحة
437 م²
الحالة
متاح